50,000 Americans battered by unprecedented typhoons while Trump denies climate crisis
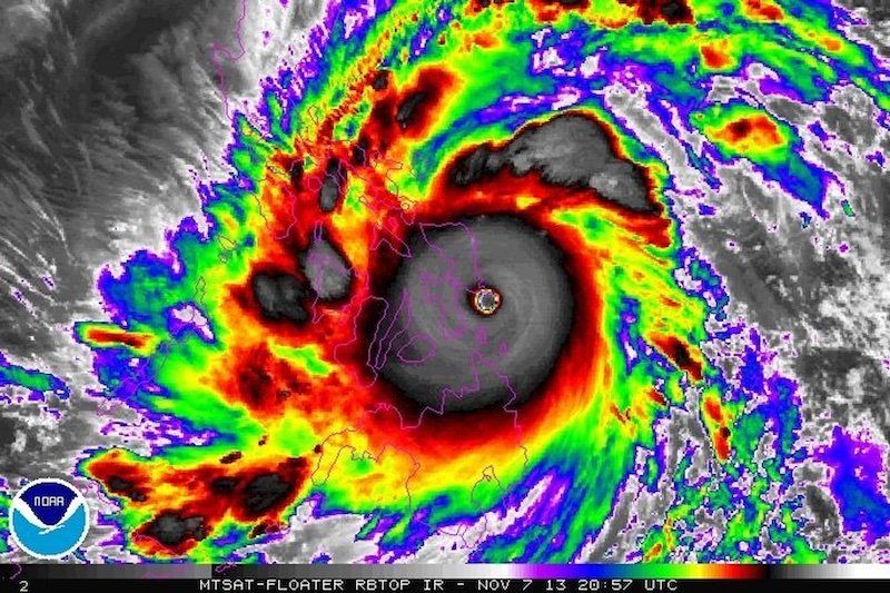
Super Typhoon Haiyan is shown off the Southeast Guiuan coast on November 7, 2013. (Image: NOAA)
April 15, 2026
Super Typhoon Sinlaku slammed into the Northern Mariana Islands on Tuesday, causing severe damage to the US-controlled territories that are home to roughly 50,000 people.
According to a Tuesday report from The Associated Press, the typhoon that struck the islands of Tinian and Saipan was the strongest storm recorded so far this year, delivering sustained winds of up to 150 miles per hour.
Saipan Mayor Ramon “RB” Jose Blas Camacho told the AP he was concerned about how the storm’s severity was hindering local rescue operations.
“It’s so difficult for us to respond with this heavy rain, heavy wind to rescue people,” he said. “Objects are just flying left and right.”
Marko Korosec, a storm chaser and weather forecaster, analyzed satellite images of the storm and predicted the Northern Mariana Islands would be hit with “violent, destructive winds, catastrophic storm surges, giant waves, and flooding rain.”
“The damage,” he wrote, “will be extreme.”
An analysis of the storm written by hurricane scientist Jeff Masters and published by Yale Climate Connections projected that “damage from Sinlaku will be severe on both islands.”
Masters also said Sinlaku was just the latest in what he described as an “unprecedented” number of Category 4 and Category 5 typhoons over the last decade, which he attributed to “a combination of natural variability and climate change.”
“Beginning in 2017, the US has gotten absolutely hammered by high-intensity Category 4 and 5 hurricanes,” Masters explained. “Seven have hit the continental US, one has hit Puerto Rico, and now two have hit the Northern Mariana Islands. That’s as many US Cat 4 and Cat 5 landfalls as had occurred in the prior 57 years.”
Later in his analysis, Masters pointed out that 10 of the 13 strongest tropical typhoons to make landfall in the last 80 years have occurred since 2006.
A Washington Postanalysis of the typhoon published Tuesday noted that it’s “unusually early” for a superstorm of this caliber to form in the Pacific, warning it “may be a sign of what’s to come” this season.
“The season is expected to be anomalously active because of a burgeoning El Niño, which induces a warming of water temperatures,” explained the Post. “That helps air to rise, generating more, and stronger, storms.”
The Post added that Sinlaku is “the last in rare set of triplet cyclones that formed this month,” which it said is an “unusual pattern” that is “also contributing to a burst of winds that is expected to greatly boost the odds of a super El Niño later this year, pushing warm water west-to-east across the Pacific.”